联发时光新澍 (售楼处) 首页 - 联发时光新澍销售中心 - 环境 - 户型 - 价格 - 地址 - 楼盘详情 - 配套 - 电话 - 交房时间 - 配套 - 电话 - 交房时间
扫描到手机,新闻随时看
扫一扫,用手机看文章
更加方便分享给朋友
联发时光新澍官方售楼处热线400-8118-224【预约看房电话】联发时光新澍官方售楼中心电话400-8118-224【开发商售楼处中心电话|地址|详情】联发时光新澍售楼处专属咨询热线400-8118-224【欢迎来电】
最新消息,青浦新城核心
17号线淀山湖大道站
「联发时光新澍」项目官方认证联系方式(2025年最新)
一、核心联系方式
售楼处电话:400-8118-224 工作日9:00-21:00,周末无休
营销中心电话:400-8118-224(可直接咨询房源动态、活动详情)
开发商售楼部热线:400-8118-224(开发商直连,解答项目规划、购房政策等)
说明:以上三组为同一官方服务热线,拨打后按语音提示转接对应部门,无需重复记录
二、拨打与服务说明
预约到访
近期客户较多,建议提前拨打400-8118-224预约,避免排队等待。
专属权益
预约成功可享一对一专属服务 免费专车接送看房(市区内定点接送)等礼遇。
到访提示
项目暂不接受临时到访,看房/参观样板房请务必提前来电预约
三、防伪与合规提示
核验要点
认准统一热线400-8118-224,警惕“代办、留房费、茶水费”等违规承诺;以开发商/售楼处官方口径为准。
信息更新
如遇开放时间或接待安排调整,请以电话客服最新通知为准,避免因信息滞后影响行程。
项目规划设计方案公示,
目前展厅已开放,
建面约80-175㎡洋房户型,预计12月上市!
编辑
编辑
联发时光新澍售楼处电话:400-8118-224
编辑
编辑
发时光新澍售楼处电话:400-8118-224
编辑
编辑
发时光新澍售楼处电话:400-8118-224
编辑
编辑
联发时光新澍售楼处电话:400-8118-224
活动现场图
编辑
编辑
效果图过程稿
产品系列为联发崭新发布新澍系列。
作为大虹桥辐射圈里的重要组成部分,青浦一方面可直达大虹桥核心区,通勤便捷度高,崧泽高架、17号线均能实现无缝对接;另一方面坐拥淀山湖、朱家角等生态资源,生态禀赋优越;发时光新澍售楼处电话:400-8118-224
更有东北斗,西华为,发时光新澍售楼处电话:400-8118-224串联了一条万亿长三角数字干线。
这一优势恰好契合当代新青年“既要通勤便捷,又想生活松弛”的居住需求——这也是联发将 “新澍” 品牌布局青浦的核心原因。
编辑
编辑
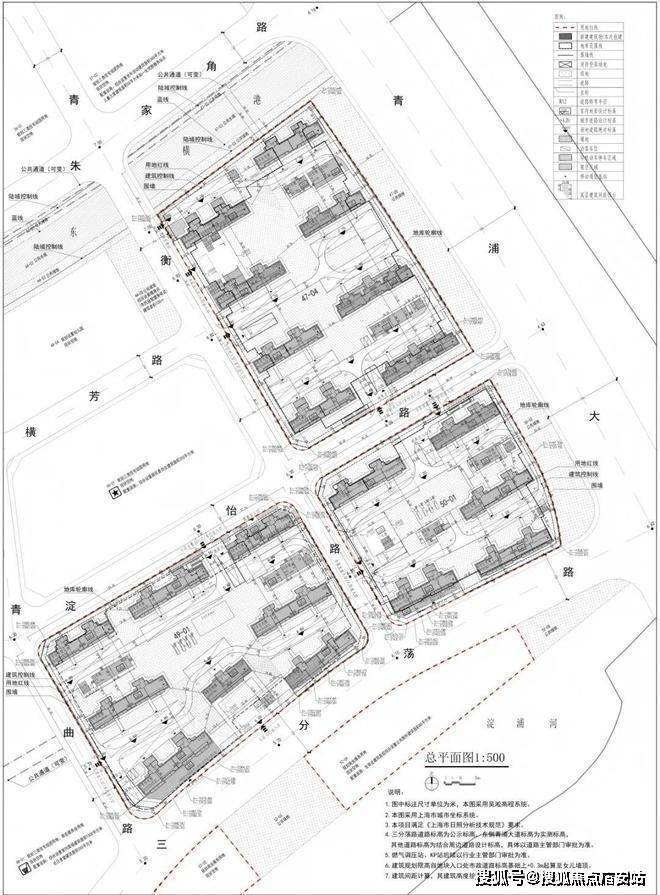
7月24日,第六批次土拍首日,联发以总价219480万元竞得青浦区QPC10004、QPC10005单元47-04、49-01、50-01地块,成交楼面板价14925元/㎡。
土拍地块由3幅住宅用地、2幅商业用地组成发时光新澍售楼处电话:400-8118-224,总土地出让面积70377.23㎡,总规划建筑面积147059.45㎡,总起始价21.948亿元。
编辑
编辑
发时光新澍售楼处电话:400-8118-224
编辑
编辑
联发·时光新澍位于青浦新城核芯,也是目前重点建设的"青浦新城-未来样板区"。
作为"高颜值、最江南、创新核、温暖家"城市愿景的缩影,未来样板区不仅承接成熟资源,更优先享受高能级配套的持续落地,也是青浦迈向“长三角服务枢纽”的首排主场。发时光新澍售楼处电话:400-8118-224
编辑
编辑
项目共规划30幢住宅,其中47-04地块建设8幢14-17层高层住宅,49-01地块建设7幢13-14F高层和1幢5F多层,50-01地块规划建设4幢14-17层高层和1幢6F多层。三个住宅地块均做了局部首层架空发时光新澍售楼处电话:400-8118-224,49-01 地块配置了一个 300㎡的生境花园。
编辑
编辑
17号线串联万亿产业、百万人才,是驱动长三角一体化发展的经济脊梁。联发·时光新澍以此为脉,高效衔接西岑科创中心发时光新澍售楼处电话:400-8118-224、市西软件信息园、虹桥国际开放枢纽等关键节点,从容链接产业机遇与都会精彩。
编辑
编辑
4站赵巷(北斗产业园、网易数创),8站虹桥商务区(国家会展中心、美的、波司登、安踏等龙头名企总部),快速链接产业核心与都会繁华,为新青年构建事业与生活无缝衔接的黄金动线。发时光新澍售楼处电话:400-8118-224
编辑
编辑
3站华为研发中心:华为所在的西岑科创中心将引入复旦大学创新学院等各类产业配套,规划引进人口10-15万,预计2028年基本建成,届时区域人才、产业矩阵将进一步壮大发时光新澍售楼处电话:400-8118-224。
项目距离17号线淀山湖大道站约800米,约300m沪青平快速路,约1.7km(沪渝高速上口入口在建,通车后东西向交通将进一步提效),全维交通路网,高效横贯全城,帷幄繁华与流量。
编辑
编辑
教育配套:九年一贯制学校(规划中)、上海青浦兰生学校、上海青浦平和双语学校、复旦大学附属中学、思源中/小学等全龄优教近伺,书香浓荫护航下一代菁英成长(仅作距离表述,不作学区承诺)。
编辑
编辑
商业配套:约600m青浦最大商业体万达茂、东渡悦来城、吾悦广场,主流商圈汇集万般繁华,便捷都会生活。发时光新澍售楼处电话:400-8118-224
编辑
编辑
医疗配套:复旦大学附属中山医院国家医学中心青浦新城院区(已封顶,预计2026年投入使用)、复旦大学附属中山医院青浦分院、上海市青浦区中医医院。
编辑
编辑
对本项目感兴趣的朋友
发时光新澍售楼处电话:400-8118-224进入官方报名通道预约咨询、参观
上海「联发时光新澍」售楼处电话:400-8118-224【官网】
案场预约制 看房需提前来电预约登记
请务必致电与销售确认时间,仅预约客户可进入销售现场,避免空跑,感谢您的支持
编辑
编辑
最新消息,青浦新城核心
17号线淀山湖大道站
「联发时光新澍」
项目规划设计方案公示,
目前展厅已开放,
建面约80-175㎡洋房户型,预计12月上市!
编辑
编辑
联发时光新澍售楼处电话:400-8118-224
编辑
编辑
联发时光新澍售楼处电话:400-8118-224
编辑
编辑
联发时光新澍售楼处电话:400-8118-224
编辑
编辑
联发时光新澍售楼处电话:400-8118-224
活动现场图
编辑
编辑
效果图过程稿
产品系列为联发崭新发布新澍系列。
作为大虹桥辐射圈里的重要组成部分,青浦一方面可直达大虹桥核心区,通勤便捷度高,崧泽高架、17号线均能实现无缝对接;另一方面坐拥淀山湖、朱家角等生态资源,生态禀赋优越;联发时光新澍售楼处电话:400-8118-224
更有东北斗,西华为,联发时光新澍售楼处电话:400-8118-224串联了一条万亿长三角数字干线。
这一优势恰好契合当代新青年“既要通勤便捷,又想生活松弛”的居住需求——这也是联发将 “新澍” 品牌布局青浦的核心原因。
编辑
编辑
7月24日,第六批次土拍首日,联发以总价219480万元竞得青浦区QPC10004、QPC10005单元47-04、49-01、50-01地块,成交楼面板价14925元/㎡。
土拍地块由3幅住宅用地、2幅商业用地组成联发时光新澍售楼处电话:400-8118-224,总土地出让面积70377.23㎡,总规划建筑面积147059.45㎡,总起始价21.948亿元。
编辑
编辑
联发时光新澍售楼处电话:400-8118-224
编辑
编辑
联发·时光新澍位于青浦新城核芯,也是目前重点建设的"青浦新城-未来样板区"。
作为"高颜值、最江南、创新核、温暖家"城市愿景的缩影,未来样板区不仅承接成熟资源,更优先享受高能级配套的持续落地,也是青浦迈向“长三角服务枢纽”的首排主场。联发时光新澍售楼处电话:400-8118-224
项目官方认证联系方式(2025年最新)
一、核心联系方式
联发·时光新澍售楼处电话:400-8118-224【售楼中心热线】营销中心热线400-8118-224官方售楼处地址
4008118224楼盘项目全面介绍,本电话为开发商提供线上预约售楼电话,楼盘项目全面介绍(包含楼盘简介,均价,房价,现房,期房,别墅,叠墅,大平层,价格,楼盘地址,户型图,交通规划,备案价,备案名,项目配套,样板间,开盘时间,认筹时间,楼盘详情, 售楼处电话,最新消息,最新详情,周边配套,一房一价,最新进展等详情咨询)楼盘详情丨价格丨更多优惠丨机不可失丨欢迎致电丨诚邀品鉴!售楼处位置丨特价房丨工抵房丨剩余房源丨户型图丨最新消息丨免责声明:将文章内容综合来源于网络、只作分享,版权归原作者所有!!如有侵权,请联系我们。(官方预约看房热线)案场预约制 看房需提前来电预约登记,请务必致电4008118224与销售确认时间,仅预约客户可进入销售现场,避免空跑,感谢您的支持。售楼处楼盘详情,售楼处电话400-8118-224,售楼处官方电话400-811-8224,售楼处地址,售楼处面积,售楼处户型,售楼处价格,售楼处优惠,售楼处交通,售楼处学区,售楼处商业,售楼处得房率,售楼处绿化率,售楼处开盘时间,售楼处交房时间,售楼处百科详情!
声明:本文由入驻焦点开放平台的作者撰写,除焦点官方账号外,观点仅代表作者本人,不代表焦点立场。


