虹盛里(虹盛里楼盘详情)-虹口虹盛里房价/户型图/虹盛里售楼处电话
扫描到手机,新闻随时看
扫一扫,用手机看文章
更加方便分享给朋友
虹口江湾镇
城投万安路项目「虹盛里」
售楼处电话:400-886-1552
案场限流 看房请务必提前来电预约登记
售楼处本周即将开放,预计7月取证。一期建面约97-198㎡洋房、小高层、联排即将入市!
「虹盛里」
售楼处电话:400-886-1552
案场限流 看房请务必提前来电预约登记
2019年9月,上海城投集团与虹口区政府签订战略合作协议,并成立上海城虹万岸建设发展有限公司,以旧区改造和城市更新相结合的新模式,拿下了虹口江湾的万安路项目。
项目效果图
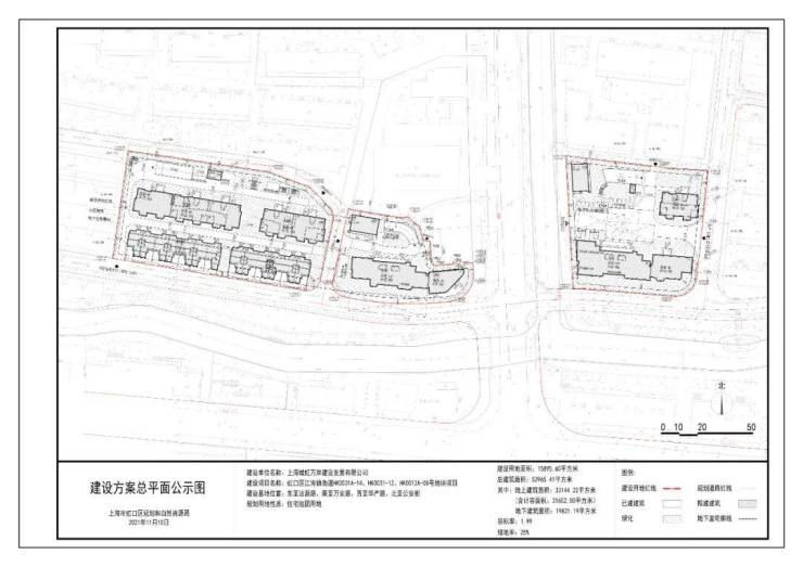
2021年年11月9日,城投集团旗下的城投控股与虹口区人民政府共同签订《万安路地块国有建设用地使用权出让协议》,以人民币44.2亿元价格获得了虹口区江湾镇街道HK0031A-14、HK0031-12、HK0012A-08号地块(旧改项目)使用权,以及虹口区江湾镇街道HK0012G-28、HK0012H-29、HK0015-07(部分)、HK0015-06号地块(旧改项目)使用权,共计7个地块。
7幅地块的总地上计容面积超过8.3万平方米,包含了住宅套数超过620套,户型面积不大,产品类型却包罗万象,包含高层公寓、6层8层的洋房产品以及2-3层的合院及联排别墅,沿着走马塘一字排开,独有韵味。
项目总体分两期开发销售,一期包括ABC三个小地块,二期为DEFG四个小地块。现已开工建设。

示意图
万安路项目一期平面图
万安路项目二期平面图






一期地块规划如下:

一期A地块:

A地块的容积率最低,只有1.35,共有71套房源,由13套别墅和58套洋房组成,联排面积为196平,有独立的入户花园和地下附赠空间。洋房面积约97-198㎡。
户型图如下:(户型图为过程稿,仅供参考,最终以官方发布为准)
「虹盛里」
售楼处电话:400-886-1552
案场限流 看房请务必提前来电预约登记
一期B地块:

B地块容积率2.94,只有一栋小高层,共67套房源,产品建面约108-148㎡。
户型图如下:(户型图为过程稿,仅供参考,最终以官方发布为准)
一期C地块:

C地块容积率2.33,由一栋18层的小高层和两栋6层的花园洋房组成,共92套房源,产品建面约108-196㎡。
户型图如下:(户型图为过程稿,仅供参考,最终以官方发布为准)
「虹盛里」
售楼处电话:400-886-1552
案场限流 看房请务必提前来电预约登记
二期地块规划如下:

二期D地块:

D地块共86套房源,产品建面约91-145㎡。
户型图如下:(户型图为过程稿,仅供参考,最终以官方发布为准)
二期E地块:

E地块共67套房源,产品建面约92-189㎡。
户型图如下:(户型图为过程稿,仅供参考,最终以官方发布为准)

F地块共276套房源,产品建面约54-138㎡。
户型图如下:(户型图为过程稿,仅供参考,最终以官方发布为准)
二期G地块:

「虹盛里」
售楼处电话:400-886-1552
案场限流 看房请务必提前来电预约登记
万安路项目位于拥有千年历史的虹口江湾镇核心位置,是一个毛地旧改项目。江湾镇位于虹口区西北部,面积0.66平方公里,江湾以虬江蟠曲于此而得名,距今近千年历史。

新的万安路项目的设计方案,也串联起了江湾镇的历史性地标,保留并提升走马塘沿岸城市文化,完成对历史和文脉的追溯和重构,强化城市肌理的保留,展现鲜明的社区个性特点,在旧区改造中既注重保护好历史地段、自然景观、人文环境,也注重保护街巷街区格局,让人文保护与旧区改造实现“双赢”。
虹口万安路周边文化地标
万安路项目共分为7个零散地块,项目距总占地面积仅有约3.2万平方米,每一个地块仅有几千平米的大小,同时,7幅地块中间穿插了两条自然河流,一座滨河绿地,多条道路,属于上海的城市更新住宅项目。
城投的方案将7个独立的地块和滨水空间相结合,通过对商业、绿化、广场界面的有机穿插、整合,使原来相对碎片化的地块,织补成为一个与景观河道交相辉映、有节奏的公共长廊,和谐统筹滨水区公共空间与新建建筑,提升走马塘滨水区域的整体环境品质。同时,为确保周边居民能享受更好的公共配套,城投控股在设计中对周边道路市容全要素品质进行了提升,包括街道美化、架空线入地、河道绿化改造等。在街区重构中,结合架空层、街道开放界面、社区围合空间,打造共享互动的社区交流场所,营造有温度、和谐的邻里氛围,延续江湾居民的烟火气息。
交通方面:项目距离3号线江湾镇站直线距离约900米。19号线(在建)车站北路站直线距离仅200m,将来出行十分便捷。自驾方面,周边有中环高架、南北高架、逸仙路高架等快速路。

教育方面,项目周边有凉城第四小学以及江湾初级中学。
医疗方面,项目周边有同济大学附属上海市第四人民医院、上海中医药大学附属岳阳中西医结合医院等。
「虹盛里」
售楼处电话:400-886-1552
案场限流 看房请务必提前来电预约登记
声明:本文由入驻焦点开放平台的作者撰写,除焦点官方账号外,观点仅代表作者本人,不代表焦点立场。


