保利江上印售楼处电话-2026保利江上印官方热线(保利江上印售楼处地址欢迎您)-周边环境-户型-地址-楼盘详情-户型配套
扫描到手机,新闻随时看
扫一扫,用手机看文章
更加方便分享给朋友
当城市发展的重心向滨江聚拢,当人居需求向着品质与舒适进阶,总有一部作品,能精准契合时代与家庭的双重期待。
✅保利江上印售楼处电话:400-8558-224✅︎✅︎
✅✅保利江上印营销中心热线4008558224(官方预约看房热线)
【保利江上印】,作为世界500强央企保利置业高端“印” 系2.0迭代升级之作,择址上海内中环杨浦滨江核芯,以3.5代新规住宅标准,重构城市改善人居格局,为懂生活、爱生活的城市精英,敬献一方理想栖居地。
杨浦内中环3.5代新规住宅——【保利·江上印】入市在即!
杨浦首现折叠绿洲社区+约2300m²双会所
将推售建面约108-139m²改善产品
预计首开100套108户型,总价约1000-1200万
售楼处、样板间持续开放中!
✅保利江上印售楼处电话:400-8558-224✅︎✅︎✅
✅保利江上印营销中心热线4008558224(官方预约看房热线)
近年来的杨浦滨江,正以肉眼可见的速度完成板块能级的全面升级!
从世界级规划逐步兑现,到北横通道的全线贯通,从互联宝地等产业的集聚发展,到互联网大厂、优质教育、医疗资源的持续落地
也正因如此,这里成为上海主城最具置业潜力的板块之一,市场一致性价值预期不断走高!
✅保利江上印售楼处电话:400-8558-224✅︎✅︎✅
✅保利江上印营销中心热线4008558224(官方预约看房热线)
据网上房地产数据显示,2020年至今杨浦滨江的新房成交均价从2020年的9.6万/㎡涨到今年的12.7万/㎡!变化幅度超过不少热门板块!
更重要的,杨浦滨江新房成交量也稳,2025年至今1733套新房成交稳居上海中环内销量前列,断层领先!
伴随着明年规划的兑现和此前多块地王的出售,接下来杨浦滨江新房价格再创新高几乎是较大概率的事情!
✅保利江上印售楼处电话:400-8558-224✅︎✅︎✅
✅保利江上印营销中心热线4008558224(官方预约看房热线)
量价齐升的背后,是市场对于板块价值的高度认可,但当多数新房价格提前兑现了未来的规划与利好,1632万的套均总价,让众多千万级预算的改善客群,正面临着上车难的现实问题!
好在,万物皆有裂痕,那是光照进来的地方:
在杨浦滨江新房站稳12万/㎡甚至13万/㎡的当下,惊现“倒车接人”的时刻!
据了解:主力户型建面约108m²三房户型,预计总价1100万级即可上车,按照开发商低开高走的定价逻辑,首开有惊喜!
✅保利江上印售楼处电话:400-8558-224✅︎✅︎✅
✅保利江上印营销中心热线4008558224(官方预约看房热线)
户型图赏鉴
建面约108㎡3房2厅2卫超强附赠户型
边套约26㎡主卧大套房+约12.36㎡南次卧
三开间朝南、南向双阳台设计、经典动静分离、超强附赠户型,其中108㎡边套户型可赠送约18㎡!完全可以满足年轻家庭改善居住。
✅保利江上印售楼处电话:400-8558-224✅︎✅︎✅
✅保利江上印营销中心热线4008558224(官方预约看房热线)
S墙设计,创造出内嵌式的收纳或摆放空间。将冰箱、玄关柜与建筑结构融为一体,让公共区域的视觉更平整,动线更流畅
客厅、主卧、次卧,三个最重要的家庭空间全部朝南,形成超宽的采光面。
主卧270度转角飘窗,打破了传统窗户的单一视角,将窗外的城市天际线或社区园林,以环幕式的尺度铺陈在眼前。
✅保利江上印售楼处电话:400-8558-224✅︎✅︎✅
✅保利江上印营销中心热线4008558224(官方预约看房热线)
南向双阳台:一个负责“诗与远方”,养花弄草、喝茶看景;一个负责“生活日常”,洗衣晾晒、收纳储物。功能与情调,互不抢占。
卧室飘窗、设备平台、挑空空间在新规之下可以被高效利用,转化为实实在在的室内面积。
超强全屋赠送附加值,108㎡边套户型可赠送约18㎡!直接实现用约108㎡的总价,买到了接近甚至超过传统120㎡户型的使用空间。
✅保利江上印售楼处电话:400-8558-224✅︎✅︎✅
✅保利江上印营销中心热线4008558224(官方预约看房热线)
样板间收纳细节满分、精装品牌品质感十足!
整个户型约108平米的面积,几乎可以媲美130㎡的居住体验。从入户到主卧,从厨房到阳台,每一个空间都在重新定义“纯改善”的尺度与品质。
铸铝入户门,外侧金属质感,内侧包裹温润木饰面,搭配耶鲁四合一密码锁,既有面子也有安全感。
入户四段式玄关柜设计,底层灯带照亮归家换鞋的每一步,洞洞板+多功能抽屉收纳日常出门物品,中间岩板台面搭配华为智能中控屏,轻轻一点,全屋灯光、空调、地暖尽在掌控。S墙巧妙预留双开门冰箱位置,冰箱柜交付,空间整洁利落。
U型厨房设计洗、切、炒动线合理,岩板台面+岛台设计让厨房与餐厅、客厅自然相连,一边烹饪一边和家人聊天成为日常。高级定制橱柜收纳空间充足!博世四件套——灶台、油烟机、蒸烤一体机、洗碗机一字排开,摩恩抽拉龙头可轻松冲洗水槽每个角落,3M净水器为全家饮水安全默默守护。
客厅面宽3.4米,与南向阳台打通后面宽达5.6米,豁然开朗。简一大板砖密缝铺贴,地面平整如整石。交付的储物柜收纳系统让扫地机器人、行李箱等大件都有了安身之所,这在110平米以内的户型里实属难得。
主卧大套房面宽约3.2米,约26㎡的空间尺度放置1.8米大床绰绰有余,衣柜空间充足。270度转角飘窗设计,景观视野通透明亮!双飘窗均为非承重墙结构,相当人性化设计!主卫标配波斯白玉奢石台面、美妆冰箱,品质感满满!
南次卧面宽2.9米带阳台,打通后南向次卧可以做到12.36㎡!北次卧拥有非承重飘窗空间,各空间尺度感都非常舒适!妥妥的正三房设计!
次卫配置科勒智能马桶搭配吉博力强排系统,次卫北侧设备平台加挑空空间也是相当惊喜的可拓展空间!值得一提的是配置了科勒的定制镜柜,打开后可以看到丰富的收纳空间,有电吹风的专属卡座,还有电源可供电动牙刷充电,收纳细节满分!
土拍回顾及规划
✅保利江上印售楼处电话:400-8558-224✅︎✅︎✅
✅保利江上印营销中心热线4008558224(官方预约看房热线)
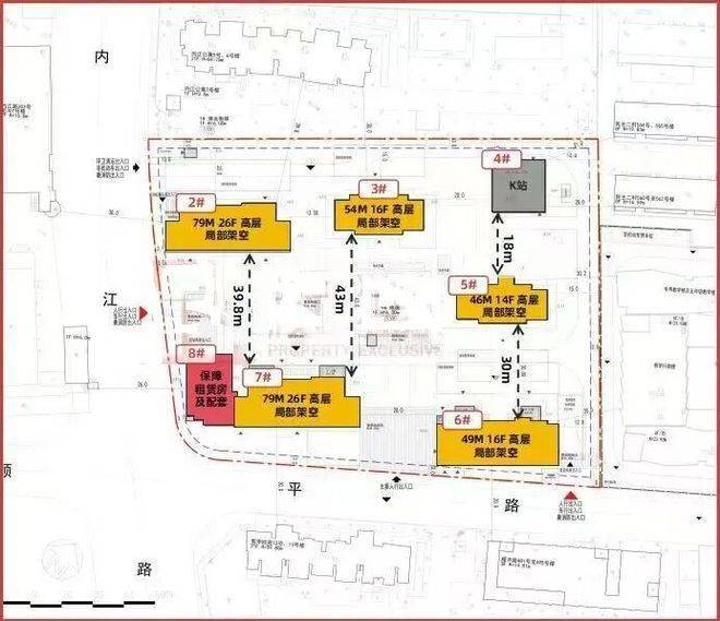
2025年10月20日,上海第八批次土拍,保利置业经过43轮激战以总价261620万元竞得杨浦N090602单元D1-7地块(即保利江上印),溢价率14.69%,住宅楼板价69958元/㎡。
四至范围:东至上师大附属杨浦滨江实验小学,南至顺平路,西至内江路,北至内江公寓,出让面积14958.66㎡,容积率2.5。
根据设计方案显示,项目拟建5幢14-26层的住宅楼组成,每一栋住宅楼均设计了架空层空间。
✅保利江上印售楼处电话:400-8558-224✅︎✅︎✅
✅保利江上印营销中心热线4008558224(官方预约看房热线)
【保利江上印】将是杨浦滨江内中环更奢适的人居标杆,四大硬核产品力全方位突破,定义3.5代人居新高度!
① 超高颜值外立面,刷新区域建筑美学!
保利·江上印建筑外立面采用底座石材,东南西三面第一眼界面全铝板和玻璃幕墙,顶部鎏金塔冠点缀,实现 “四面平权”,在区域内实现了最高级的内透美学
②上海首例地面架空实践,杨浦首现立体折叠绿洲景观
设计灵感源自新加坡艾迪逊酒店与《天空之城》“漂浮的拉普达”,以 “双轴五园” 为架构,打造约108米南北立体归家轴、约90米东西漫享花园轴,串联仪式花园、下沉庭院、儿童乐园、秘境花园、艺术花园五大花园
✅保利江上印售楼处电话:400-8558-224✅︎✅︎✅
✅保利江上印营销中心热线4008558224(官方预约看房热线)项目从街区到入户,为业主带来极致的归家体验;值得一提的是,作为上海第一个地面立体架空层的实践,未来必将成为项目的一张名片
✅保利江上印售楼处电话:400-8558-224✅︎✅︎✅
✅保利江上印营销中心热线4008558224(官方预约看房热线)
③ 约2300㎡双会所,比肩内环豪宅的高阶享受!
保利·江上印是板块内少有的配置双会所的新房,共计约2300m²超大体量,户均使用面积超7m²,比肩一众市区顶豪新盘!
地下会所配置车马厅、恒温泳池、健身房、行政酒廊、音乐剧场、下午茶沙龙等,仅对业主开放,私密感和尊贵感拉满!
架空层为全楼栋配置,打造不同的主题空间,全龄段业主均可找到专属天地!
④ 约900㎡的儿童乐园IP, 无界联动,功能互通
室内外无界渗透,青少年运动场、宅间花园、儿童乐园与架空层的无界联动体系,打造无界交流共享空间 , 弱化交界面,室内外共享 , 形成园区功能互通;从儿童到青少年到成年人的全龄无界互通
✅保利江上印售楼处电话:400-8558-224✅︎✅︎✅
✅保利江上印营销中心热线4008558224(官方预约看房热线)
这不仅是一座刷新区域人居标准的标杆作品,更是为千万级改善客群量身定制的理想生活场,在杨浦滨江价值腾飞的当下,保利·江上印以硬核产品实力,成为当之无愧的置业优选!
总结一下:
✅保利江上印售楼处电话:400-8558-224✅︎✅︎✅
✅保利江上印营销中心热线4008558224(官方预约看房热线)
从地段到规划红利、从价格到产品力,保利·江上印用超强质价比为上海千万级预算购房者解锁了一个近乎绝版的置业舒适区!
无论是老杨浦人还是新上海人,亦或者浦东跨区置业人群,保利·江上印不仅是当下上车杨浦滨江的绝佳机遇,更是能穿越周期的人居硬通货!
项目316套稀缺房源即将入市,聪明人已经在行动了,你还在等什么?
生活配套
交通方面:项目距12号线爱国路站约400米,5站北外滩来福士、10站南京西路,在江浦公园站换18号线、大连路站换4号线,串联主城所有核心商圈,出行无死角!
自驾上,项目坐拥三横四纵一桥六隧道立体交通,紧贴北横通道周家嘴路入口,1个红绿灯即入,这条上海第二条东西向交通主动脉,一路直达北外滩、静安寺等核心区
✅保利江上印售楼处电话:400-8558-224✅︎✅︎✅
✅保利江上印营销中心热线4008558224(官方预约看房热线)
再加上内环和五条过江隧道(包括桥)的加持,像杨浦滨江核心区、北外滩核心区、陆家嘴、世纪公园、南京西路、外滩等都是业主未来的生活圈
商业方面:项目直线距离500米到宝龙旭辉广场,日常吃喝玩乐购一站式解决;3公里以内有在建超级合生汇,再加上美团、B站规划的特色商业,高端消费轻松满足;一脚油门还可以到五角场商圈,合生汇、万达广场,多元商业覆盖全场景!
教育方面:项目与上师大附属杨浦滨江实验小学一墙之隔,上理工附属实验初中直线距离约500米,两所均为2024年上海首批儿童友好学校试点校,师资强、口碑好!
✅保利江上印售楼处电话:400-8558-224✅︎✅︎✅
✅保利江上印营销中心热线4008558224(官方预约看房热线)
周边还有本溪滨江幼儿园、鞍山幼稚园,以及规划中的复旦附中国际部、九年一贯制学校,优质教育资源环伺(新房不承诺学区)
医疗方面:项目周边3公里内还汇聚三大优质医院 —— 新华医院(三甲,儿科全国顶尖,上海唯一拥有围产+完整儿科亚专业的三甲)、复旦大学附属妇产科医院(红房子,全国妇产科天花板)、杨浦区中心医院,为家人的健康筑牢防线
生态休闲:项目600米直达素有 “沪上小西湖” 之称杨浦公园,作为杨浦主城的核心生态绿肺,包含了玉兰庭、月季园、古树杜鹃园等七大主题花园群落,还有林下健身区、亲子互动空间、智慧休闲设施!
既是日常散步晨练的天然氧吧,也是全家周末游玩、亲子打卡的休闲胜地,推窗见绿、出门入园,让自然生态成为高阶日常的标配!
✅保利江上印售楼处电话:400-8558-224✅︎✅︎✅
✅保利江上印营销中心热线4008558224(官方预约看房热线)
声明:本文由入驻焦点开放平台的作者撰写,除焦点官方账号外,观点仅代表作者本人,不代表焦点立场。


